Логин: Пароль:
Регистрация

В Казани ограничили движение по пр.Ибрагимова и Ямашева

10 апр 2018
2018-04-10 14:39:54

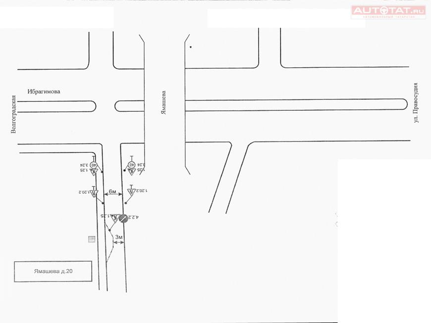
На пр. Ибрагимова и Ямашева в Казани ограничили движение. Схема 

С сегодняшнего дня на 10 дней закрывается для движения участок на пр. Ибрагимова и Ямашева. Об этом сообщает Комитет внешнего благоустройства.

Так, до 20 апреля движения закроют возле дома №28б по пр.Ямашева и на въезде на транспортную развязку около дома №02 по пр.ю Ямашева.

Схемы организации движения:

Эти ограничения движения связаны с прокладкой кабельной канализации. Исполнительный комитет просит всех казанцев быть максимально внимательными и следовать требованию временных дорожных знаков.

Поделиться в соцсетях:
Тэги: #Казань   #Авто  
Поставьте оценку:
Комментарии:

Warning: fopen(/home/u513226/autotat.ru/www/_logs/er260424.log): failed to open stream: Disk quota exceeded in /home/u513226/autotat.ru/www/_includes/__api.php on line 606

Warning: fopen(/home/u513226/autotat.ru/www/_logs/er260424.log): failed to open stream: Disk quota exceeded in /home/u513226/autotat.ru/www/_includes/__api.php on line 606

Warning: fopen(/home/u513226/autotat.ru/www/_logs/er260424.log): failed to open stream: Disk quota exceeded in /home/u513226/autotat.ru/www/_includes/__api.php on line 606

Warning: fopen(/home/u513226/autotat.ru/www/_logs/er260424.log): failed to open stream: Disk quota exceeded in /home/u513226/autotat.ru/www/_includes/__api.php on line 606

Warning: fopen(/home/u513226/autotat.ru/www/_logs/er260424.log): failed to open stream: Disk quota exceeded in /home/u513226/autotat.ru/www/_includes/__api.php on line 606

Warning: fopen(/home/u513226/autotat.ru/www/_logs/er260424.log): failed to open stream: Disk quota exceeded in /home/u513226/autotat.ru/www/_includes/__api.php on line 606

Warning: fopen(/home/u513226/autotat.ru/www/_logs/er260424.log): failed to open stream: Disk quota exceeded in /home/u513226/autotat.ru/www/_includes/__api.php on line 606

Warning: fopen(/home/u513226/autotat.ru/www/_logs/er260424.log): failed to open stream: Disk quota exceeded in /home/u513226/autotat.ru/www/_includes/__api.php on line 606

Warning: fopen(/home/u513226/autotat.ru/www/_logs/er260424.log): failed to open stream: Disk quota exceeded in /home/u513226/autotat.ru/www/_includes/__api.php on line 606
| (не представился)

Оставьте свой комментарий:

Перед добавлением отзыва необходимо оценить материал страницы ( Оценить )


Warning: fopen(/home/u513226/autotat.ru/www/_logs/er260424.log): failed to open stream: Disk quota exceeded in /home/u513226/autotat.ru/www/_includes/__api.php on line 606