Логин: Пароль:
Регистрация

До 30 декабря в Казани закрывается движение по ул. Зорге

15 мая 2015
2015-05-15 10:04:47

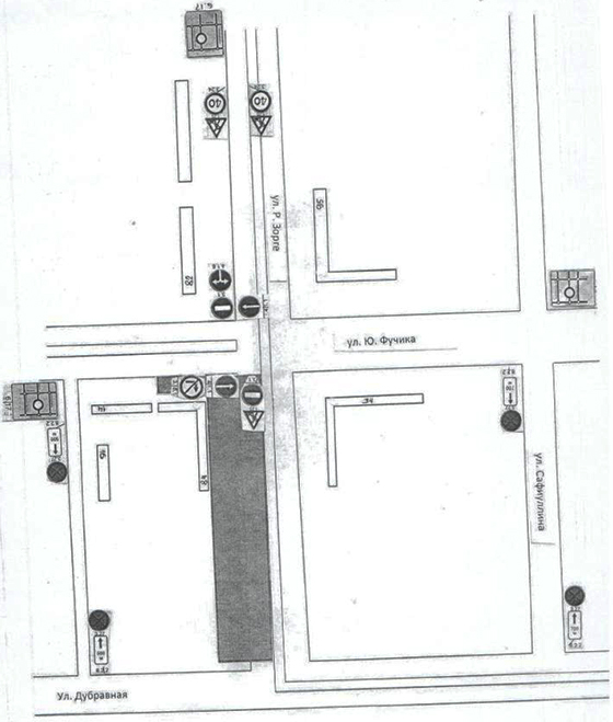
В Казани временно закрывается движение по ул. Зорге. Схема организации движения.

Неприятные новости для казанских водителей: до 30 декабря 2015 года закрывается движение по ул. Р.Зорге на участке от ул. Фучика до ул. Дубравная в направлении движения от ул. Фучика в сторону ул. Дубравная. 
 
В Комитете внешнего благоустройства Казани отметили, что временное ограничение связано с установкой ограждений для строительства станции метро «Дубравная». Предлагаем вашему вниманию схему организации дорожного движения на данном участке дороги: 

Кроме того, с 16 по 17 мая частично закрывается движение на ул. Фучика в районе дома №14 в направлении движения от ул. Пр.Победы до ул. Зорге. Там запланирована реконструкция магистрального тепловода. 
 
Исполнительный комитет по городу Казани просит всех автомобилистов заранее планировать маршрут движения и следовать требованиям временных дорожных знаков. 

Казань - Автопортал AUTOTAT.ru

Поделиться в соцсетях:
Тэги: #Казань   #дорога  
Поставьте оценку:
Комментарии:

Warning: fopen(/home/u513226/autotat.ru/www/_logs/er260424.log): failed to open stream: Disk quota exceeded in /home/u513226/autotat.ru/www/_includes/__api.php on line 606

Warning: fopen(/home/u513226/autotat.ru/www/_logs/er260424.log): failed to open stream: Disk quota exceeded in /home/u513226/autotat.ru/www/_includes/__api.php on line 606

Warning: fopen(/home/u513226/autotat.ru/www/_logs/er260424.log): failed to open stream: Disk quota exceeded in /home/u513226/autotat.ru/www/_includes/__api.php on line 606

Warning: fopen(/home/u513226/autotat.ru/www/_logs/er260424.log): failed to open stream: Disk quota exceeded in /home/u513226/autotat.ru/www/_includes/__api.php on line 606

Warning: fopen(/home/u513226/autotat.ru/www/_logs/er260424.log): failed to open stream: Disk quota exceeded in /home/u513226/autotat.ru/www/_includes/__api.php on line 606

Warning: fopen(/home/u513226/autotat.ru/www/_logs/er260424.log): failed to open stream: Disk quota exceeded in /home/u513226/autotat.ru/www/_includes/__api.php on line 606

Warning: fopen(/home/u513226/autotat.ru/www/_logs/er260424.log): failed to open stream: Disk quota exceeded in /home/u513226/autotat.ru/www/_includes/__api.php on line 606

Warning: fopen(/home/u513226/autotat.ru/www/_logs/er260424.log): failed to open stream: Disk quota exceeded in /home/u513226/autotat.ru/www/_includes/__api.php on line 606

Warning: fopen(/home/u513226/autotat.ru/www/_logs/er260424.log): failed to open stream: Disk quota exceeded in /home/u513226/autotat.ru/www/_includes/__api.php on line 606
| (не представился)

Оставьте свой комментарий:

Перед добавлением отзыва необходимо оценить материал страницы ( Оценить )


Warning: fopen(/home/u513226/autotat.ru/www/_logs/er260424.log): failed to open stream: Disk quota exceeded in /home/u513226/autotat.ru/www/_includes/__api.php on line 606