С 27 мая по 18 июня в Казани закрывается движение по ул.Ш.Марджани
26 мая 2015
2015-05-26 15:10:14
2015-05-26 15:10:14
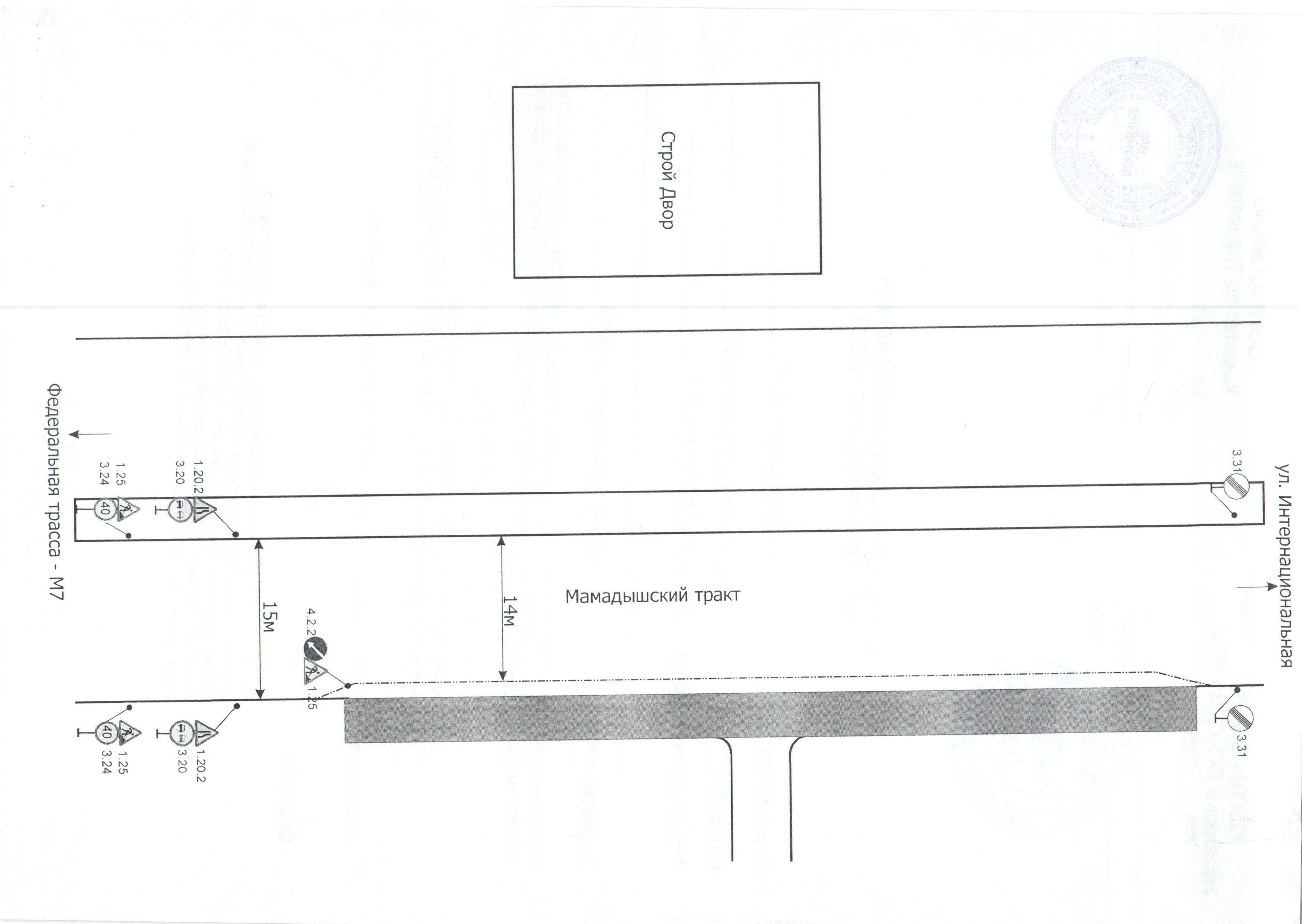
В Казани до 18 июня закрывается движение по ул.Ш.Марджани. Схема движения.
autotat.ru
С завтрашнего дня до 18 июня в Казани закрывается движение по улице Шигабутдина Марджани на участке от ул. Эсперанто до дома №109б по ул. Г. Тукая. Об этом сообщает мэрия города.
Временное ограничение движения связано с реконструкцией тепловода. В связи с этим Исполнительный комитет просит всех казанцев быть внимательными, следовать требованию временных дорожных знаков и заранее планировать свой маршрут движения. Я играю только в лучших онлайн казино Потому что не могу терпеть мошенничество и прочее жульничество. Многие игральные дома этим грешат. Но узнать об этом раньше было невозможно. Спасибо ребятам, что они исправили эту справедливую оплошность.
Предлагаем вашему вниманию схему организации дорожного движения на данном участке:
Warning: fopen(/home/u513226/autotat.ru/www/_logs/er260424.log): failed to open stream: Disk quota exceeded in /home/u513226/autotat.ru/www/_includes/__api.php on line 606
Warning: fopen(/home/u513226/autotat.ru/www/_logs/er260424.log): failed to open stream: Disk quota exceeded in /home/u513226/autotat.ru/www/_includes/__api.php on line 606
Warning: fopen(/home/u513226/autotat.ru/www/_logs/er260424.log): failed to open stream: Disk quota exceeded in /home/u513226/autotat.ru/www/_includes/__api.php on line 606
Warning: fopen(/home/u513226/autotat.ru/www/_logs/er260424.log): failed to open stream: Disk quota exceeded in /home/u513226/autotat.ru/www/_includes/__api.php on line 606
Warning: fopen(/home/u513226/autotat.ru/www/_logs/er260424.log): failed to open stream: Disk quota exceeded in /home/u513226/autotat.ru/www/_includes/__api.php on line 606
Warning: fopen(/home/u513226/autotat.ru/www/_logs/er260424.log): failed to open stream: Disk quota exceeded in /home/u513226/autotat.ru/www/_includes/__api.php on line 606
Warning: fopen(/home/u513226/autotat.ru/www/_logs/er260424.log): failed to open stream: Disk quota exceeded in /home/u513226/autotat.ru/www/_includes/__api.php on line 606
Warning: fopen(/home/u513226/autotat.ru/www/_logs/er260424.log): failed to open stream: Disk quota exceeded in /home/u513226/autotat.ru/www/_includes/__api.php on line 606
Warning: fopen(/home/u513226/autotat.ru/www/_logs/er260424.log): failed to open stream: Disk quota exceeded in /home/u513226/autotat.ru/www/_includes/__api.php on line 606
| (не представился)
Оставьте свой комментарий:
Перед добавлением отзыва необходимо оценить материал страницы ( Оценить )