Логин: Пароль:
Регистрация

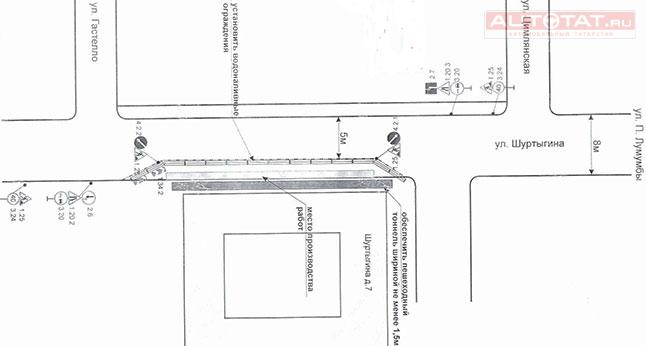
До 21 августа в Казани ограничили движение по двум улицам

02 авг 2016
2016-08-02 09:34:43

В Казани до 21 вгуста перекрывают улицы Гастелло и Шуртыгина.

До 21 августа в Казани ограничили движение по улице Шуртыгина в районе дома №7, а также по ул. Гастелло в районе дома №20 и 22. Это связано с проведением нового водопровода, газопровода и канализации, сообщает Комитет внешнего благоустройства.

В связи с перекрытием участка дороги Исполнительный комитет просит всех автомобилистов заранее планировать свой маршрут движения и следовать требованию временных дорожных знаков.

Для наглядности публикуем схему-план ограничения проезжей части:

Поделиться в соцсетях:
Тэги: #Казань   #Авто   #дорога  
Поставьте оценку:
Комментарии:

Warning: fopen(/home/u513226/autotat.ru/www/_logs/er260424.log): failed to open stream: Disk quota exceeded in /home/u513226/autotat.ru/www/_includes/__api.php on line 606

Warning: fopen(/home/u513226/autotat.ru/www/_logs/er260424.log): failed to open stream: Disk quota exceeded in /home/u513226/autotat.ru/www/_includes/__api.php on line 606

Warning: fopen(/home/u513226/autotat.ru/www/_logs/er260424.log): failed to open stream: Disk quota exceeded in /home/u513226/autotat.ru/www/_includes/__api.php on line 606

Warning: fopen(/home/u513226/autotat.ru/www/_logs/er260424.log): failed to open stream: Disk quota exceeded in /home/u513226/autotat.ru/www/_includes/__api.php on line 606

Warning: fopen(/home/u513226/autotat.ru/www/_logs/er260424.log): failed to open stream: Disk quota exceeded in /home/u513226/autotat.ru/www/_includes/__api.php on line 606

Warning: fopen(/home/u513226/autotat.ru/www/_logs/er260424.log): failed to open stream: Disk quota exceeded in /home/u513226/autotat.ru/www/_includes/__api.php on line 606

Warning: fopen(/home/u513226/autotat.ru/www/_logs/er260424.log): failed to open stream: Disk quota exceeded in /home/u513226/autotat.ru/www/_includes/__api.php on line 606

Warning: fopen(/home/u513226/autotat.ru/www/_logs/er260424.log): failed to open stream: Disk quota exceeded in /home/u513226/autotat.ru/www/_includes/__api.php on line 606

Warning: fopen(/home/u513226/autotat.ru/www/_logs/er260424.log): failed to open stream: Disk quota exceeded in /home/u513226/autotat.ru/www/_includes/__api.php on line 606
| (не представился)

Оставьте свой комментарий:

Перед добавлением отзыва необходимо оценить материал страницы ( Оценить )


Warning: fopen(/home/u513226/autotat.ru/www/_logs/er260424.log): failed to open stream: Disk quota exceeded in /home/u513226/autotat.ru/www/_includes/__api.php on line 606